Client Challenge

Hallazgo

Misterio bajo el océano: aparecen agujeros en el fondo del Atlántico y los científicos no salen de su asombro

Los científicos quedaron "perplejos" ante el hallazgo agujeros alineados en el fondo del mar.

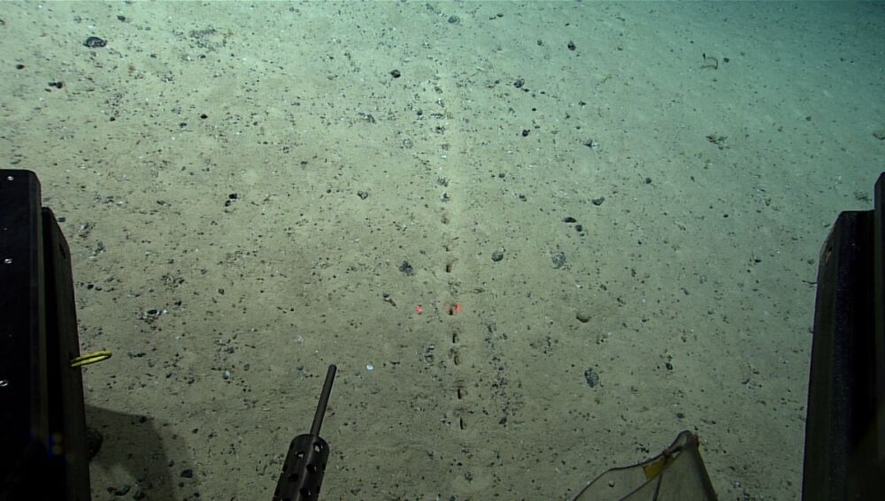
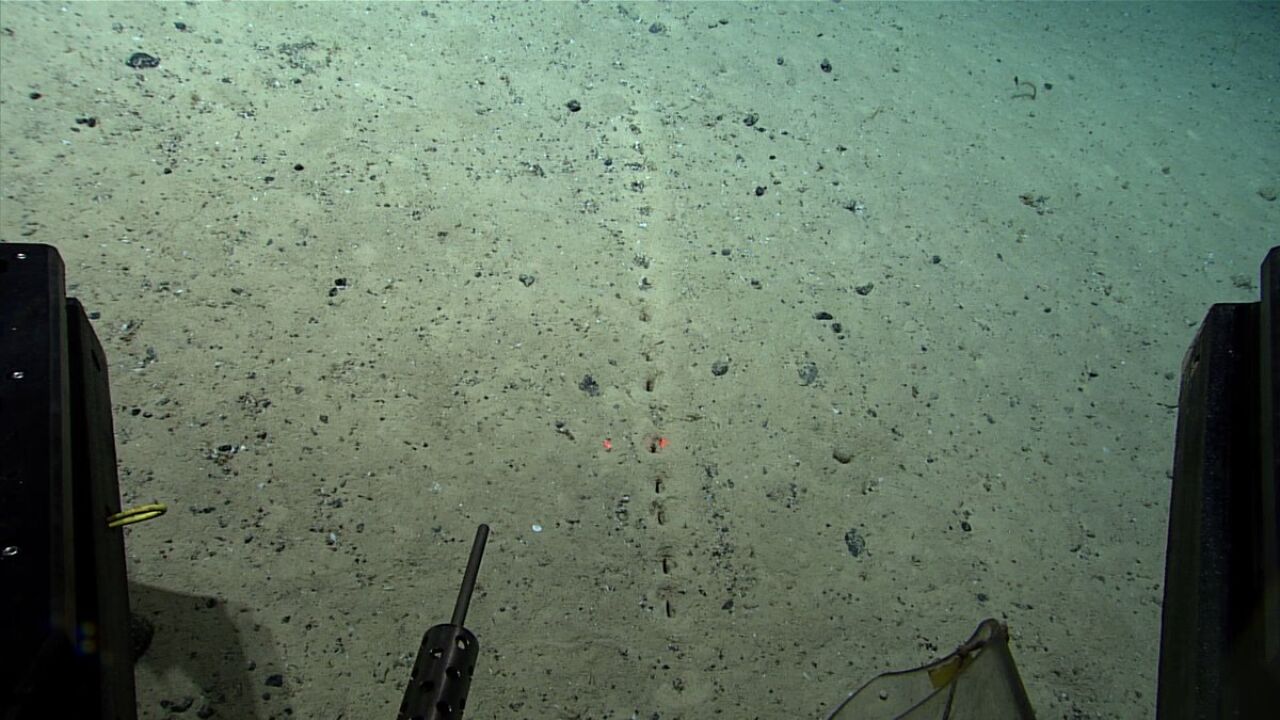
Investigadores encuentran misteriosos agujerosNOAA

La denominada Oficina Nacional de Administración Oceánica y Atmosférica (NOAA) ha encontrado una especie de agujeros submarinos en el Atlántico. Tal y como ha explicado 'la NASA del mar', el hallazgo ha tenido lugar durante una expedición en la dorsal mesoatlántica.

"En la inmersión del sábado vimos varios conjuntos de agujeros sublineales en el lecho marino. El origen de los agujeros tiene a los científicos perplejos. Parecen hechos por humanos, pero los pequeños montones de sedimentos a su alrededor sugieren que fueron excavados por... algo. ¿Cuál es tu hipótesis?", ha explicado la NOAA.

Los misterios del océano

Los investigadores, a bordo del buque Okeanos, encontraron los orificios el pasado 23 de julio, gracias a un robot sumergible que estaba explorando una cresta volcánica al norte del archipiélago de las Azores, cerca de Portugal. Sin embargo, no es la primera vez que aparecen, en 2004 ocurrió lo mismo en dicha zona durante otra expedición llevada a cabo por los científicos Michael Vecchione y Odd Aksel. Lo que llama poderosamente la atención de los expertos es que en ambos casos las perforaciones eran uniformes, como si hubiera sido obra de un humano.

Lo cierto es que las profundidades del mar guardan todavía muchos secretos. Igual de famoso que de misterioso es el Triángulo de las Bermudas, un área geográfica con forma de triángulo escaleno situada en el Atlántico, entre las islas Bermudas, Puerto Rico y la ciudad estadounidense de Miami. Al unir estos tres puntos se forma un triángulo de unos 1.800 km de lado, y una superficie aproximada de 1 millón de kilómetros cuadrados.

Del lugar se han escrito decenas de historias sobre desapariciones de barcosy aviones. De hecho, en enero del pasado 2021 se le perdió la pista a una embarcación que partió de Bimini (Bahamas) con destino Florida (EEUU) con 20 personas a bordo.

Client Challenge

El Pacífico tiene su propia reproducción del Triángulo de las Bermudas: el mar del Diablo, también conocido como el Triángulo del Dragón o el de Formosa.